Sea Turtle Folklore and Traditional Ecological Knowledge

How Past Knowledge Forges Future Conservation


It is important to value both TEK and Western science, to invite both local/lay people and modern-day scientists to build a new table, one that has room for all.
— María Dabrowski

IMG_1959.jpg

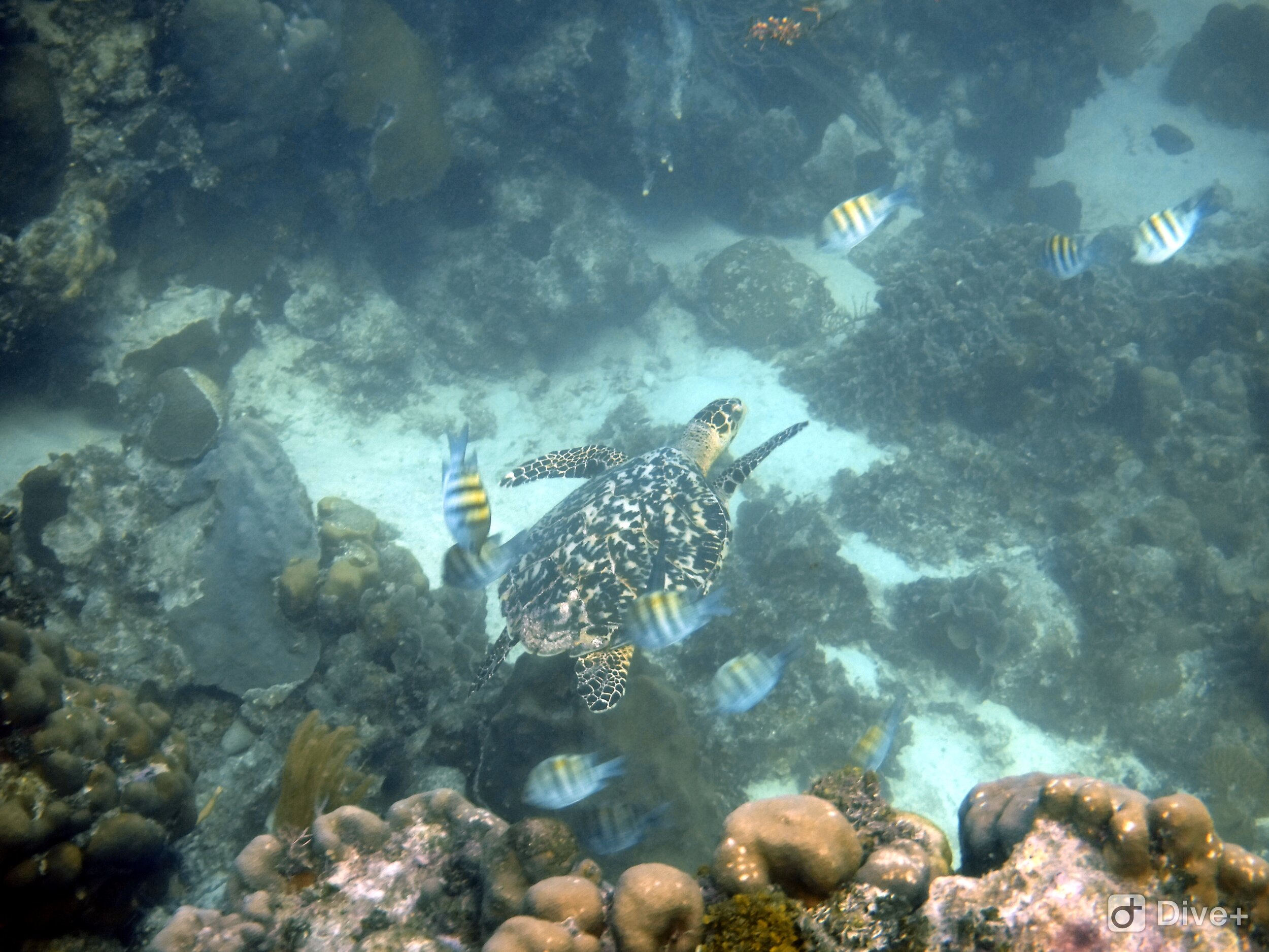
Hawksbill sea turtle (Eretmochelys imbricata) peacefully swimming off the coast of Belize.

Photographed by: María Dabrowski

Have you heard of Turtle Island? Almost 500 million people live there. The island has cities and jungles, deserts and oceans, mountains and frozen land. In the folklore of the Iroquois and Lenape tribes, Turtle Island was formed when the Great Spirit put a massive rock on the back of a turtle to provide land for the people. I live in North America; I live on Turtle Island.

Turtles are integral to creation stories and folklore around the world. In Hindu mythology, the god Vishnu turned himself into a turtle to hold up the world during the churning of the ocean of milk, and is still known as the World Turtle. In Hawai’ian mythology, sea turtles Honu-po’o-kea and Honu-’ea gave birth to Kauila in a fresh water spring on Punalu’u beach, giving the islands of Hawai’i clean water and a magical young turtle who keeps an eye on the children who use the beach.

Because of the respect and reverence bestowed upon turtles, for years these stories have been passed down from generation to generation. Alongside tales of creation came learned information about sea turtles: when females lay eggs, when hatchlings could be expected to scuttle down the beach, when the time was right to hunt turtles for food, jewelry or shields. For example, the Miskito people of modern day Guatemala and Honduras were considered master turtle hunters. Their mastery depended upon knowledge - where and when the turtles would be for the hunters to find them successfully. This Traditional Ecological Knowledge (TEK) allowed Miskito people to consume green sea turtle meat. The entire process, both hunting and eating, was one rooted in ceremony, community and knowledge.

Another example of TEK about cultural ties to sea turtles is evident in the cross-cultural exchange of knowledge between Caymanians and Costa Ricans. For a long time, Caymanian turtle hunters communicated with Costa Rican turtle hunters: the Caymanians would let the Costa Ricans know when the sea turtles had left Cayman’s Mosquito Cays area, for they would turn up in Tortuguero, Costa Rica shortly after. Western science doubted this migration for a long time. Aerial surveys completed in 1952 “proved” to modern Western scientists what local residents long knew to be true: sea turtles can migrate long distances. 

Similarly, for years local people knew that Kemp’s Ridley sea turtles nested en masse, in a phenomenon known as an arribada, on a specific beach in México. A Méxican biologist filmed the event in 1947 and the footage was later re-discovered by Henry Hildebrand, a prominent marine biologist. The person credited with the “discovery” of the Kemp’s Ridley nesting location is Henry Hildebrand, a white Western scientist. Just as Columbus didn’t “discover” America, Hildebrand didn’t discover these turtles; Indigenous and local peoples had known about and cared for both America and sea turtles for a long time prior. 

Sea turtles play critical roles in folklore, and their cultural significance means that local and Indigenous peoples all around the world have been paying close attention to them for hundreds of years. Today, society has largely strayed away from TEK in favor of Western science. While Western science absolutely has its merits, the often undermined TEK means that we, as scientists and global citizens, are missing incredible chunks of information. Sea turtles continue to face human-made obstacles (drowning in fishing nets, being struck by boat propellers) and climatic ones (warming sand temperatures, reduced beach nesting area). It is important to value both TEK and Western science, to invite both local/lay people and modern-day scientists to build a new table, one that has room for all. By valuing and incorporating a diversity of experiences, cultures, and priorities, we will be able to give sea turtles the best chance for survival going forward.


 

References

  1. http://www.native-languages.org/legends-turtle.htm

  2. https://www.teenagemutantninjaturtles.com/2014/01/07/turtles-folklore-world-turtle-kurma/ 

  3. http://tammyyee.com/tt-kauila.html  

  4. Fire in the Turtle House by Osha Gray Davidson (pgs. 68-69)

  5. The Man Who Saved Sea Turtles by Frederick Rowe Davis (pgs. 105-106)

Previous
Previous

Deep-sea Mining

Next
Next

Accidental Captures of Marine Mammals in Fisheries